Thursday, 15 January 2026

16 lot proposal for Cowes

A PLANNING application to establish a multi-lot subdivision of land into residential developments at 35 Cowes-Rhyll Road, Cowes has been lodged with the shire. The proposal seeks to subdivide land into 16 lots and will see the creation of reserves...

Michael Giles profile image
by Michael Giles
16 lot proposal for Cowes

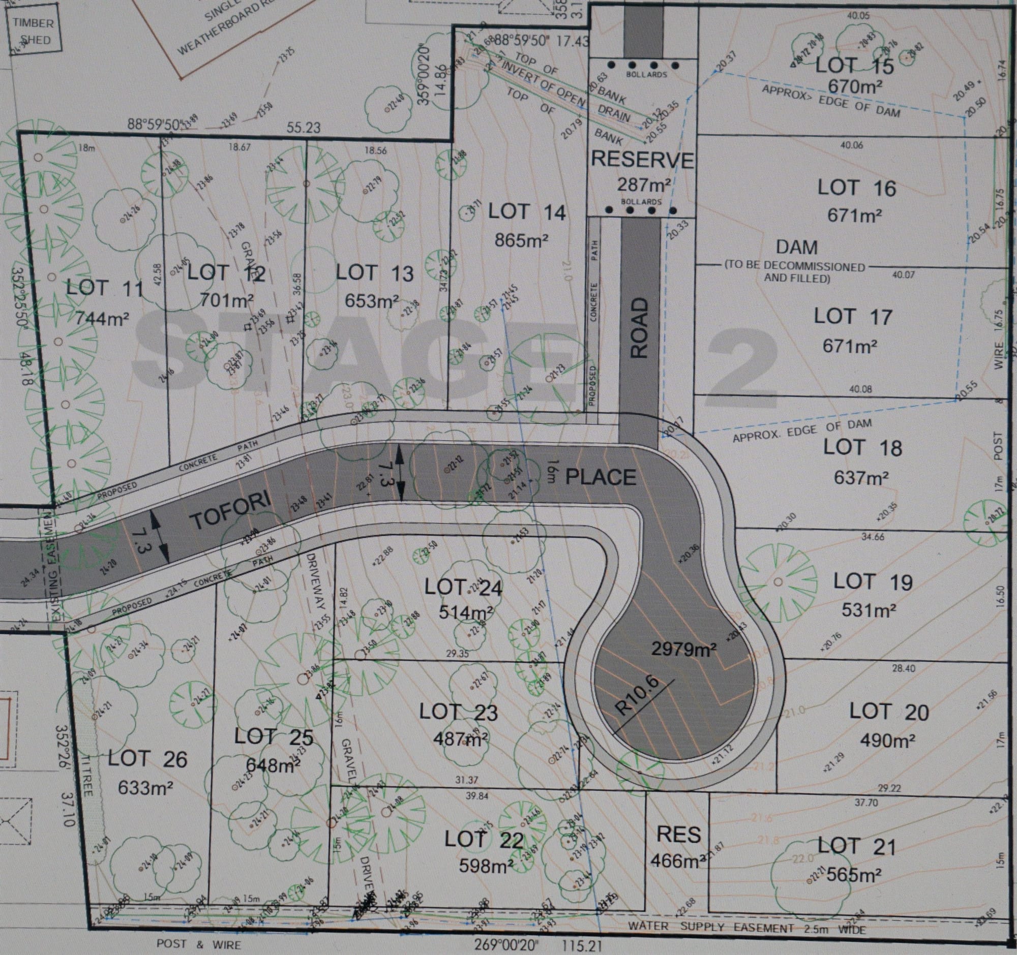
A PLANNING application to establish a multi-lot subdivision of land into residential developments at 35 Cowes-Rhyll Road, Cowes has been lodged with the shire.
The proposal seeks to subdivide land into 16 lots and will see the creation of reserves and associated works, and removal of native vegetation.
The lots would be of medium to standard density ranging between 506m2 to 865m2, with two reserves, one of 466m2 and another of 287m2.
According to a report, the aim of the proposal is to provide a mixture of density and housing choices, in keeping with the surrounding blend of subdivisions.
The subject site is vacant land and mostly devoid of native vegetation, except for a few small patches and three scattered native trees.
All other vegetation is exotic or non-indigenous native trees and shrubs.
The site is capable of being connected to power, telephone and water, and it’s anticipated that reticulated sewerage will be available via neighbouring subdivisions.
A drainage strategy is also being prepared for the subdivision, and it’s proposed to install a major outfall drain from Cowes-Rhyll Road, which will connect the drainage from this subdivision to the existing drain in Saraghi Way.
Reserves at the site would also create pedestrian and cycling connections to neighbouring streets.
For more information visit, basscoast.vic.gov.au/building-planning/advertised-planning-applications and enter application number 210129.

Read More

puzzles,videos,hash-videos